| Korallengarten in Nusa Penida |
| Korallengarten in Menjangan - Amed Scuba Diving Tour |
Es gibt Dinge um uns, die
wir oft nicht nicht richtig wahrnehmen können, die jedoch
überlebenswichtig für uns sind. Dazu gehört zum Beispiel das
Sonnenlicht! Wir nehmen seine Anwesenheit wahr, aber wir können
seine 'Energie', aus der das Sonnelicht besteht, nicht immer spüren.
Wir spüren seine Wärme auf unserem Körper, aber nutzen können wir
diese Energie nicht. Dazu sind nur photoautotrophe Organismen in der
Lage, die mit Hilfe von Sonnenlicht und Wasser das für uns so
lebenwichtige Sauerstoff produzieren und ihre eigene Energie in Form
von Zucker. Dadurch sind diese Organismen von der Existenz der im
Sonnelicht gespeicherten Energie abhängig, und gehen ohne diese
zugrunde. Jedoch auch ein Zuviel an dieser Energie kann schaden!
Daher schützen sich Korallen auch mit einem körpereigenem
Sonnenschutz mit sehr hohem Lichtschutzfaktor und dürfen daher auf
gar keinen Fall angefasst werden. Obwohl lebende Korallenpolypen fast
einer Blume ähneln, handelt es sich bei einer Koralle nicht um eine
Pflanze sondern um ein Tier. Wie kann sie dann photoautotrph sein und
sich von Zucker aus der Photosynthese ernähren? Das macht sie nicht!
Die Koralle ist ein Tier. Aber innerhalb dieses Tieres lebt eine
winzige Alge Zooxantehella genannt. Ausgesprochen
"Zo-o-xan-thel-la", das Wort kommt aus dem griechischen und
besteht aus "Zoion" (Tier) und "Xanthos" (gelb)
und "-Ella" als eine Verkleinerungsform. Und das "kleine
gelbe etwas, was in lebenden Tieren lebt" liefert die
Grundstoffe und ist somit neben der in enger Symbiose lebenden
Koralle der wichtigste Treiber des Lebens in einem Riff-System!
Gleichzeitig gibt diese winzige Alge der Koralle seine wunderbare
Farbe, denn diese kommt meistens nicht vom Polypen selbst.
| Korallengarten in Menjangan - Amed Scuba Diving Tour |
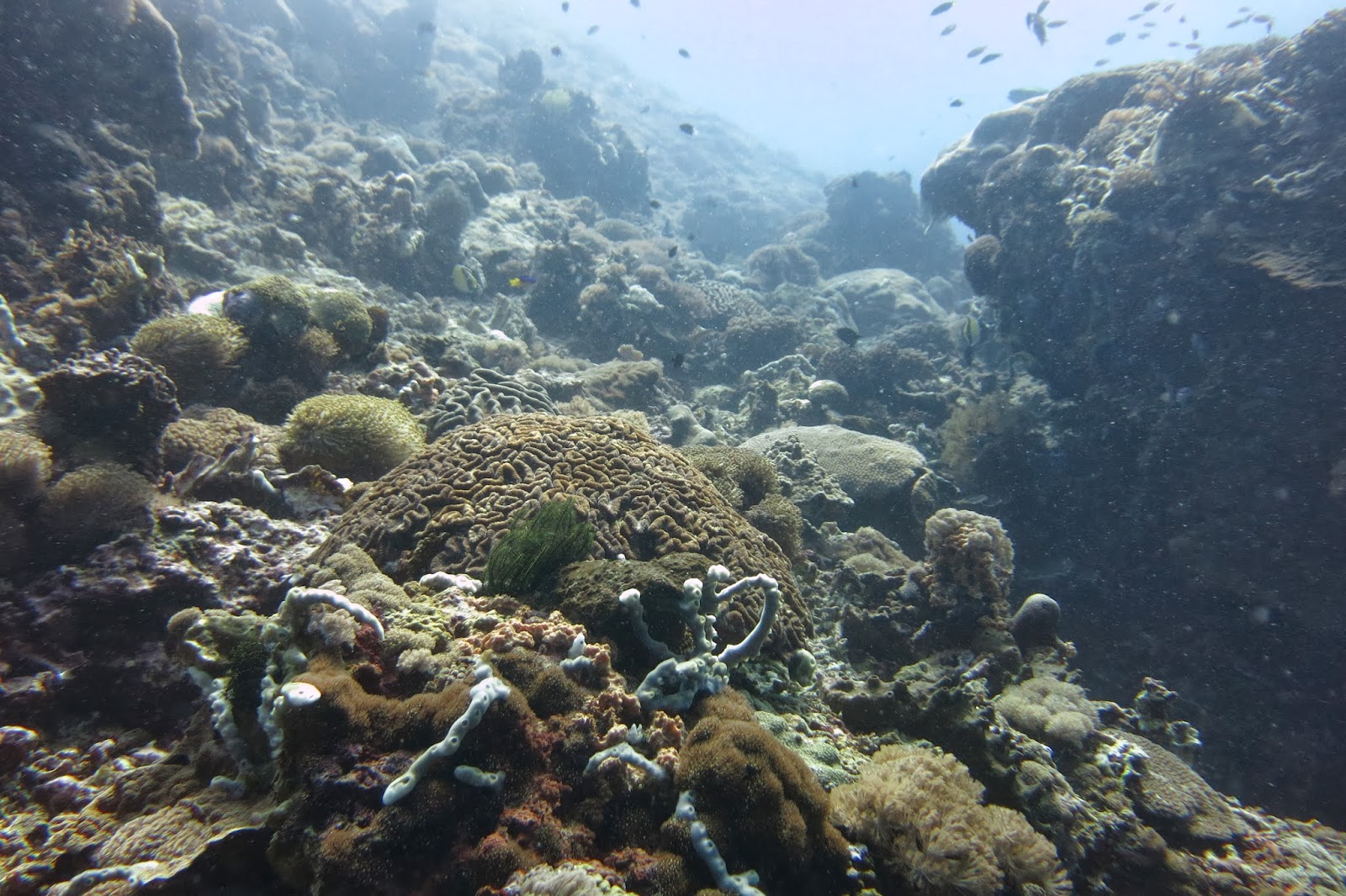
Blumentiere sind an Wasser gebunden und weltweit in allen Meeren verbreitet. Sie sind bis in eine Tiefe von 6.000 m anzutreffen. Einzellebende Exemplare sind an harte Oberfläche gebunden oder tief im Schlamm oder Sand vergraben. Koloniebildende Blumentiere hingegen überkrusten andere Substrate oder bilden Skelette unterschiedlichster Formen aus.Riffbildende Arten leben typischerweise in flachen (bis 40m Tiefe), klaren, tropischen Gewässern.
| Weich- und Hartkorallenformationen in Menjangan Amed Scuba Diving Tour |
Mesenterien (Scheidewände im Inneren des Polypen) unterteilen den Gastralraum eines Korallenpolypen in Kammern. Sie verleiht stabilität. Der Gastralraum des Polypen ist sowohl der Magen als auch der Darmtrakt. Der Eingang ist sowohl Mund als auch After. Er dient in erster Linie der Verdauung und der Verteilung der Nährstoffe. Nach der Ausbildung von 8 oder 6 (als Basiszahl) Scheidewände unterscheidet man die beiden Unterklassen Hexacorallia und Octocorallia.
| Weichkoralle |
Octocorallia sind eine Unterklasse der Blumentiere. Sie besitzen 8 meist gefiederte Tentakeln und haben 8
| Octocorallia |
Im Deutschen werden taxonomisch jedoch falsch verschiedene Gruppen nach Wuchsform und Festigkeit eingeteilt. Man unterscheidet Weich- (Alcyonacea), Röhren- (Stolonifera), Leder- (Alcyoniideae) und Hornkorallen von Gorgonien (Gorgonacea), Seefächer oder Seefedern (Pennatulacea).
Abiotische Faktoren spielen eine große Rolle beim Riffwachstum, an dem jedoch keine Weichkorallen beteiligt sind, sondern nur ihren Platz innerhalb des Riffes finden.
![]() |
| Tauchen und Forschen mit Amed Scuba Bali |
Standortfaktoren
Abiotische Faktoren begrenzen Korallenriffe auf bestimmte Regionen unserer Erde, da sie das Riffwachstum limitieren. Zu diesen Faktoren gehören die Temperatur, die Lichtverhältnisse und die Salinität des Meeres.

Temperatur
Die Wachstumsstandorte der Korallenriffe weisen relativ gleich bleibende Bedingungen auf, die sich zum großen Teil im Bereich der 20°-Isotherme abspielen. Optimale Wachstumsbedingungen finden Korallenriffe bei durchschnittlichen Wassertemperaturen von 25 bis 26°Celsius vor. Fallen die Temperaturen unter 20°Celsius so sinkt zunächst die Wachstumsrate der riffbildenden Korallen. Fallen die Temperaturen jedoch weiter, so sterben die Korallen. Bei einer Wassertemperatur von 15°C geschieht dies bereits nach 24 Stunden und alle Korallen sind tot.
Bei ansteigenden Temperaturen über 29°Celsius kommt es durch den Stressfaktor dem die Korallen dadurch ausgesetzt sind zur so genannten Korallenbleiche. Die Alge, die in der Koralle lebt, produziert falsche Stoffwechselprodukte und wird von ihrem Wirten abgestoßen. Diese obligate Endosymbiose zwischen Koralle und seiner Zooxanthellen ist lebensnotwendig für das Überleben des Riffes. Kehrt der Symbiont nicht innerhalb eines halben Jahres zu seinem Wirten zurück, so sterben die Korallenpolypen.

Lichtverhältnisse
![]() |
| Amed Scuba, Gili Selang |
Licht ist der begrenzende Faktor bei der Verbreitung des Riffes in tieferes Wasser. In Tiefen von 70 bis 90m können Korallen kaum noch wachsen. Die Lichtintensität liegt hier unter 10% im Vergleich zur Oberfläche. Die Abhängigkeit des Korallenwachstums vom Licht rührt von der symbiotischen Beziehung zwischen Korallen und den Algen her. Die autotrophen Zooxanthellen benötigen das Sonnenlicht für ihre Photosynthese, um mit Hilfe des Lichtes aus Wasser und Kohlendioxid Zucker und Sauerstoff zu gewinnen. Der Zucker ernährt sowohl die Algen als auch die Korallenpolypen.
Aber der Lichtgradient im Riff ändert sich nicht nur von oben nach unten, sondern auch innerhalb des Riffes entstehen durch das unterschiedliche Wachstum der Korallen selbst vielfältige Licht-Schatten Bereiche. Um sich an diese Lichtverhältnisse anzupassen, wachsen die Korallen in verschiedenen Bereichen unterschiedlich gut. Dadurch differenziert sich das Riff in ökologisch unterschiedliche Bereiche und es entstehen unterschiedliche ökologische Nischen.
Neben dem physikalischen Raum, den ein Organismus besetzt, beschreibt die ökologische Nische auch das spezifische Wirkungsfeld einer Art, die durch ein System von Wechselbeziehungen zwischen dem Organismus und seiner Umwelt entsteht.
Salinität
Optimale Wachstumsbedingungen finden die riffbauenden Organismen bei einem durchschnittlichen Salzgehalt im Sommer von 36 Promille und im Spätsommer von 28 bis 32 Promille vor. Dabei werden höhere Salzgehalte bis maximal 45 Promille leichter akzeptiert als zu niedrige. Das stellt ein Problem in der Regenzeit dar und durch eventuelle Einleitungen von Süßwasser durch eine wachsende Anzahl von Hotels an der Küstenlinie. Obwohl Korallen kurzzeitig einen niedrigeren Salzgehalt bis zu 75% unter dem Normalwert tolerieren, sterben sie nach kurzer Einwirkungszeit ab. Daher findet man auch keine Koralleriffe im Einflussbereich von Süßwasser wie zum Beispiel in Flussmündungen.
| Amed Scuba Korallen wachsen ineinander und konkurieren um Raum |
Als limitierend für das Riffwachstum erweisen sich vor allem PO4-P und NH4, die im oligotrophen Riff sogar über dem Wert des Riff umspülenden Wassers liegt. Die Konzentration von PO4-P ist im Riff gewöhnlich nur geringfügig höher als im umgebenden Ozean. Sie liegt jedoch nahe am limitierenden Faktor für das Phytoplanktonwachstum.
Die NH4 Konzentration liegt gewöhnlich höher als im umgebenden Ozean und über der für das Phytoplankton limitierenden Konzentration.
Aus diesem Grund zeigen sich die Riffe auch ausgesprochen nährstoff- und phytoplanktonarm. Das autotrophe Phytoplankton wird als Primärproduzent jedoch für die Nahrungskette in jedem ökologischen System benötigt, um die folgenden Kettenmitglieder zu ernähren. Energie geht in der Nahrungspyramide unter anderem durch die Stoffwechselreaktionen der lebenden Organismen verloren. Aus diesem Grund ist die enge Endosymbiose zwischen Koralle und Algen unerlässlich für das überleben der Korallen. Die Höhe der autotrophen Primärproduktion hängt jedoch nicht absolut vom Vorrat an anorganischen Nährstoffen im Korallengarten ab, denn das System ist auch mit dem umfließenden Meerwasser verbunden.
Es gibt eine große Menge an unterschiedlichen Korallen, die der Taucher in Bali in den Korallengärten entdecken kann. Eine Kleine Auswahl soll hier folgen:
| Pilzkoralle (Fungiidae), Amed Scuba Jemeluk Bay |
Pilzkorallen (Fungiidae) sind Steinkorallen, die nicht wie die anderen Arten festgewachsene, in Kolonien lebende Tiere, sondern große Einzelpolypen sind. Sie leben nur in ihrer Jugend auf einem kleinen Stiel sessil. Der Stiel bricht nach einiger Zeit ab und der Einzelpolyp lebt frei in flachem Wasser, auf sandigem Untergrund. Da sie in diesem, für Korallen ungewöhnlichen Lebensraum, leicht von Wellen, Strömung oder Tieren umgedreht, von Sand bedeckt oder beschädigt werden können haben sie ein hohes Regenerationsvermögen und können sich selbst von Sand befreien. Bei zerbrochenen Polypen kann aus jedem Teil ein neuer Polyp wachsen. Die Korallen können sich auch vermehren, indem sie an ihrer Seite Tochterpolypen bilden und abschnüren. Die meisten der 25 Arten der Gattung Fungia erreichen die Größe eines kleinen Tellers. Cycloseris hat nur einen Durchmesser von vier Zentimeter, während die länglichen Herpolitha einen halben Meter lang werden können. Die Korallen kommen in allen warmen Weltmeeren vor.


Keine Kommentare:
Kommentar veröffentlichen